Военные пилоты сняли эпичный вид из центра урагана Мелисса

Военные пилоты сняли эпичный вид из центра урагана Мелисса

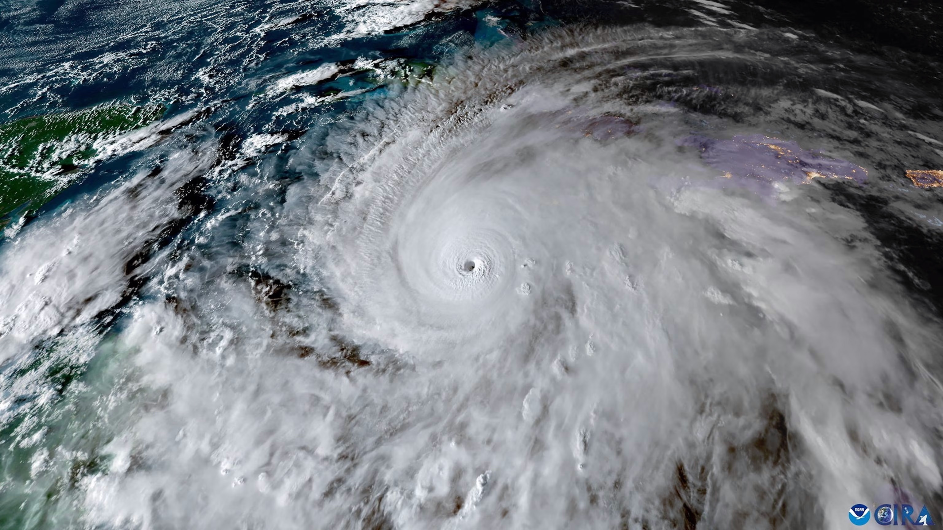
Мелисса, достигшая статуса урагана категории 5, обрушилась на Ямайку как самый мощный шторм в зафиксированной истории страны. В 13:00 по восточному времени стихия накрыла остров с ветром скоростью 295 км/ч и проливными дождями, когда глаз урагана прошёл над юго-западным побережьем. Об этом сообщил Национальный центр ураганов США (NHC).

В понедельник 53-я эскадрилья метеорологической разведки (команда охотников за ураганами ВВС США) вылетела в этот исторический шторм для сбора данных. Пилоты сняли поразительные фото и видео стены глаза Мелиссы – возвышающегося кольца грозовых облаков, которое вращается вокруг центра урагана. Однако сильная турбулентность вынудила их развернуться.

По заявлению NHC, опубликованному утром понедельника, охотники за ураганами "покинули шторм досрочно после экстремальной турбулентности в юго-западной части стены глаза". Вторая попытка пролететь внутрь шторма во вторник утром также была прервана. По состоянию на 11:00 по восточному времени эскадрилья возвращалась на базу на Кюрасао.

Впрочем, команда успела собрать критически важные данные о силе и формировании Мелиссы. NHC выпустил прогноз в 11:00, с отчётами с борта самолёта, указывающими на усиление шторма с момента последнего обновления. Давление внутри глаза шириной 24 километра упало почти до 892 миллибар (нормальное составляет 1013,25), а максимальная устойчивая скорость ветра достигла 215 км/ч. Синоптики NHC ожидают, что ветры Мелиссы вызовут "полное разрушение конструкций" вблизи пути её центра.

Ожидаются катастрофические внезапные наводнения, оползни и разрушительные ветры по всему острову, вызывающие масштабные повреждения инфраструктуры, отключения электричества и связи, изолирование населённых пунктов. Вдоль южного побережья ожидается опасный для жизни штормовой нагон и разрушительные волны в течение дня.

Мелисса стала четвёртым штормом атлантического сезона ураганов 2025 года, прошедшим через быструю интенсификацию – когда максимальная устойчивая скорость ветра увеличивается на 56 км/ч за 24 часа. Изменение климата повышает вероятность этого опасного явления по мере потепления температуры поверхности океана, обеспечивая больше тепла для формирования и усиления ураганов. Мелисса столкнулась с исключительно тёплыми водами и низким сдвигом ветра в центральной части Карибского моря в субботу, что вызвало её взрывное усиление от тропического шторма до урагана категории 4 к раннему воскресенью.

Шторм достиг статуса категории 5 рано утром в понедельник и с тех пор продолжает усиливаться. Сейчас это пятый по силе ураган в истории наблюдений в Атлантическом океане. После прохождения над Ямайкой синоптики ожидают выхода урагана на сушу на Кубе и в архипелаге Лукайя – цепи островов, включающей Багамы, Теркс и Кайкос сегодня.

Мелисса должна ослабнуть над Ямайкой, так как внутреннее ядро будет нарушено горным рельефом. Однако циклон должен сохранить статус крупного урагана, пока центр не достигнет восточной Кубы.

Из-за ожидаемых отключений электричества и повреждений инфраструктуры, вероятно, пройдёт некоторое время, прежде чем официальные лица смогут сообщить о полном масштабе разрушений и возможных человеческих жертвах после выхода урагана на сушу на Ямайке. NHC призывает жителей немедленно укрыться.

После выхода из Карибского моря ураган должен двигаться вдоль восточного побережья США, оставаясь далеко в море. Синоптики не ожидают выхода урагана на сушу в Соединённых Штатах.